El Gobierno del Principado de Asturias inicia la información pública del proyecto del nuevo enlace entre la AS-II y la A-8 en Roces, en Gijón, que prevé dos glorietas y una inversión superior a los 3,7 millones.

El Gobierno de Asturias somete a información pública el proyecto del nuevo enlace entre la AS-II y la autovía del Cantábrico (A-8), a la altura de Roces, en Gijón/Xixón, que incluye dos glorietas sobre la vía de alta capacidad autonómica para mejorar la seguridad y la fluidez del tráfico. La actuación superaría los 3,7 millones de inversión.
El Boletín Oficial del Principado (Bopa) publica hoy la apertura del proceso de información pública, trámite previo a la licitación de las obras, que se puede consultar en el siguiente enlace https://goo.su/o3x3aP
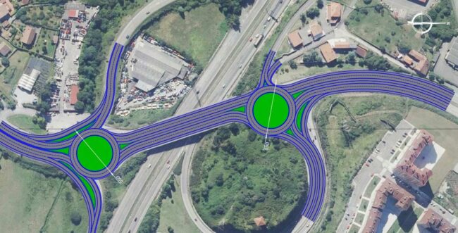
La actuación propuesta consiste en remodelar los dos nudos actuales de conexión entre ambas vías con el fin de ofrecer una solución más sencilla para los conductores y lograr una circulación más fluida de los vehículos procedentes de la A-8 en su incorporación a la AS-II.
El proyecto consiste en la creación de un enlace en forma de pesa que incluirá dos glorietas de 44 metros de diámetro, con dos carriles de cuatro metros de ancho, así como la adaptación de los viales a la nueva intersección. Para ello, será necesario ampliar un paso inferior y actuar sobre la obra de drenaje a través de la que discurre el arroyo de Tremañes. Además, se implantarán tres carriles segregados que permitirán una conexión directa entre las dos autovías sin necesidad de pasar por las glorietas.
El enlace de Roces conecta el tramo de circunvalación de la A-8, de titularidad estatal, y la AS-II (autovía de la Industria), de titularidad autonómica, a la altura del punto kilométrico 382 de la autovía del Cantábrico, y del kilómetro 24 de la autovía industrial, en el entorno periurbano de Gijón/Xixón. Esta confluencia de tráficos hace del nudo de Roces un punto clave en cuanto a la seguridad vial.
La redacción del proyecto de remodelación del enlace forma parte de los acuerdos suscritos entre el Principado y el Ministerio de Fomento en 2019 para realizar los estudios necesarios que permitan definir y construir las estructuras pertinentes para mejorar la conexión entre la red de carreteras del Estado y la autonómica en la zona central de Asturias. Dentro de ese protocolo también figuraba la redacción del proyecto del enlace de Robledo por parte del Ministerio de Transportes y Movilidad Sostenible, que está actualmente en fase de evaluación ambiental.